会员中心
我的收藏
购物车(
0
)
手机逛51买JP
Android版
免费注册
登录
51买JP欢迎您
购物车
我的优惠券
我的收藏
返回顶部
搜索
中古名表
中古奢侈品
LV中古包
手办模型
二手镜头
皮草
Yahoo!商品分类
中古名表
>
品牌手表
>
迪奥
欧米伽
万国
爱马仕
华生
双狮
劳力士
浪琴
雷达
梭曼
卡西欧
卡地亚
古驰
昆仑
精工
积家
西铁城
真力时
香奈儿
百年灵
宝格丽
芬迪
伯爵
名士
男士手表
>
电子表
石英表
手动上链
自动上链
女士手表
>
SWATCH
石英表
手动上链
座钟,挂钟
>
挂钟
桌上型时钟
怀表
>
机械式
石英
中古名包
>
品牌包包
>
路易威登
香奈儿
赛琳
古驰
爱马仕
芬迪
迪奥
菲拉格慕
女包
>
皮质手提袋
皮质斜肩包
手提袋
斜肩包
晚宴包
后背包
大手提包
小收纳包
波士顿包
男包
>
手提袋
斜肩包
隨身包
后背包
文件包
側肩背包
波士頓包
服饰
>
时尚女装
>
路易威登
香奈儿
纪梵希
赛琳
古驰
爱马仕
芬迪
普拉达
迪奥
川久保玲
博柏利
高桥盾
阿玛尼
雅格狮丹
范思哲
维维安
华伦天奴
MH
迈克科尔斯
马克·雅可布
圣罗兰
三宅一生
耐克
皮草
大衣
外套,罩衫
女性和服
时尚男装
>
路易威登
纪梵希
Supreme
古驰
爱马仕
普拉达
迪奥
川久保玲
博柏利
高桥盾
阿玛尼
雅格狮丹
范思哲
维维安
罗意威
拉夫劳伦
杜嘉班纳
维斯维木
KAPITAL
李维斯
外套,罩衫
大衣
西裝
男子和服
服饰配件
>
路易威登
香奈儿
赛琳
古驰
芬迪
普拉达
宝格丽
迪奥
菲拉格慕
川久保玲
蔻驰
博柏利
范思哲
维维安
三宅一生
卡地亚
杜嘉班纳
鞋靴
>
路易威登
香奈儿
古驰
爱马仕
普拉达
迪奥
菲拉格慕
川久保玲
蔻驰
高桥盾
维斯维木
男鞋
女鞋
儿童服饰
>
品牌
婴儿服,孕妇装
女孩
男孩
孩子用时尚小物品
珠宝饰品
>
女性饰品
>
项链,耳坠
手环,手链
坠饰
耳环
戒指
裸石
男士饰品
>
手环,手链
袖扣
领带夹
项链
坠饰
戒指
品牌首饰
>
香奈儿
蒂芙尼
迪奥
卡地亚
萧邦
宝格丽
Bloody Mary
嘉步
御木本
克罗心
薇薇安
田崎真珠
紀梵希
古驰
工艺品收藏
>
爱好、文化
>
端溪砚
文镇
砚
古墨
毛笔
砚台盒
美术品
文玩/手串
货币
陶瓷器
>
古董陶磁器紫砂
中国瓷器
明
宋
高麗
唐
元
李朝
漆器
青花瓷
日本陶瓷器
>
常滑
陶瓷器
备前
京烧
伊万里,有田
九谷
萩
薩摩
美浓
濑户
万古
信乐
字画
>
挂轴
匾额,框
扇面
水墨画
雕刻
>
东方雕刻
雕刻题材
金属工艺品
>
日本铁壶
釜
五德
铜花器
铜佛像
铜镜子
银置物
银餐具
银酒器
银装饰品
锡制
邮票
>
亚洲
其他
钱币
>
亞洲
歐洲
北美洲
相机镜头
>
镜头
>
单镜头相机(自动对焦)
单镜头相机(手动对焦)
大画幅,中画幅相机
其他
配件
>
暗室相关用品
三脚架,独脚架
闪光灯,照明
过滤器
箱包
曝光计
其他
胶片相机
>
大型,中型
单反相机
观景窗
消費型相机
雙眼相機
8厘米
宝丽来
数码相机
>
数码单反相机
一般数码相机
手办玩具
>
卡片游戏
>
游戏王
火影忍者
假面骑士
三国志大战
七龙珠
勇者斗恶龙
战斗之魂
玩具积木
>
LEGO乐高
漫画、动画
>
机器人英雄
海贼王
高达
龙珠
圣斗士星矢
新世纪福音战士
Fate
火影忍者
我的妹妹哪有这么可爱
铁人28号
BLEACH
铁臂阿童木
幸运星
初音未来
其他
特摄模型
>
假面骑士
奥特曼
战队系列
哥吉拉
怪物猎人
数码宝贝
Sonico
其他
车模型
>
车辆
摩托车
飞机
坦克,军车
铁路模型
人偶娃娃
>
人物公仔
换装娃娃
Superdollfie
游戏设备
>
电视游戏
圍棋
卡片游戏
复古玩具
>
铁皮
交通工具
电动装置
高温合金
日本铁壶茶具
>
铁壶
>
梦工房
金龍堂
藏六
湯沸
龟文堂
龙文堂
南部铁器
金寿堂
长文堂
三严堂
光玉堂
正寿堂
祥云堂
盛久
茶具
>
急須
源氏庵
建水
日本银壶
茶托
茶台
茶量
茶碗
茶罐
银制
>
日本银壶
酒类
>
红酒
>
红酒
钓鱼、运动、休闲
>
渔具
>
钓竿
渔轮
鱼浮
鱼钩
鱼线
救生衣
鱼竿支架
鱼群探测器
香鱼用品
鲁尔用品
钓鱼箱
露营、户外用品
>
背包,挎包
炊具
灯、彩灯
导航
帐篷,篷布
休闲表
餐具
冷却器,冷藏设备
体育用品
>
高尔夫
乒乓球
羽毛球
足球
纪念品
家电、AV
>
家电、AV
>
电子元器件
其它设备
>
摄像机
望远镜
双筒望远镜
显微镜
乐器、器材
>
管乐器
>
萨克斯
號角
横笛
直笛
弦乐器
>
吉他
大提琴
小提琴
曼陀林
古典
打击乐器
>
鼓
键盘乐器
>
手风琴
家居、室内装饰
>
厨房,餐具
>
餐具
玻璃杯
品牌餐具
日式餐具
西洋餐具
中华餐具
炊具
製菓器具
工具/DIY用品
>
业务用建筑材料
電器材料
厨房、饭桌
>
微波炉
烤箱
电饭煲
电热壶
PayPay
中古名包
中古名表
相机镜头
签到
当前位置:
首页
>
花卉、园艺
>
植木,庭园的树木
>
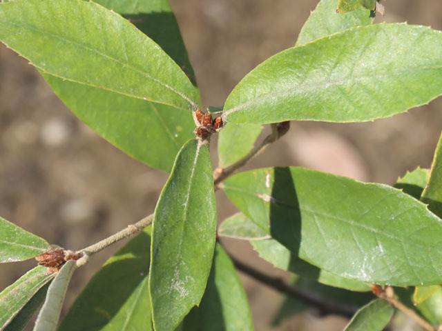
イチイガシ 1m 露地 2本 苗
收藏该商品
X
イチイガシ 1m 露地 2本 苗
收藏该商品
イチイガシ 1m 露地 2本 苗
商品编号:p1206820027
【浏览原始网页】
当前价:
RMB
990
加价单位:
500
日元
享受返利:
0
円
查看返利规则
日 元:
20000.00
円
消费税:
10%
什么是消费税?
商品消费税由日本政府收取的,YAHOO店铺出品的拍卖商品,需要您支付消费税(一般为商品得标金额的10%),个人卖家无需支付消费税。
出价:
0
次
直 购 价:
RMB 990.00
立即参拍
预约出价
出一个自己所能接受的最高价,系统会在商品竞拍结束前5分钟帮您出价;若取消预约出价,请在距离结束前30分钟以上进入会员中心删除
直接购买
以直购价直接购买
账户升级,享受无限制出价! 《会员制说明》
商品件数:1
商品成色:新品
日本邮费:卖家承担
可否退货:不可以
开始时间:2025-11-06 14:53:56
结束时间:2025-11-13 03:45:07
自动延长:有可能
提早结束:有可能
商品详情
参考翻译
下标记录
新手必读
划词翻译上线,鼠标选择文字自动翻译,翻译内容仅供参考,如有疑问请咨询小觅翻译。
【イチイガシ】(一位樫)
読み:いちいがし
学名:Quercus gilva
ブナ科コナラ属
常緑高木
別名:イチガシ
【名前の由来】
カシの木の中でも樹高が一番高くなるから。
【商品情報】
イチイガシはカシ類の中でも特徴ある少し変わった品種です。一番の特徴は全体に付く毛。枝や葉全体に褐色の毛が多くつきます。葉は硬く上半分に鋭い鋸歯があります。葉表面につく毛は次第に取れて綺麗な深緑に変化していきます。結構大きくなり、神社などに植林されます。良質な木材になるそうです。
【育て方】
適湿な土地を好みますが、乾燥にもよく耐えます。煙害や潮風にも強く植える場所を選びません。日陰でも成長します。よく伸びますので強い剪定を行っても大丈夫です。枝先がよく分枝するので成長しすぎないように枝先を選定してあげる必要があります。
適地=東北南部以南
日照り=日向or半日陰
樹形=卵形
最終樹高=30m
施肥時期=1~2月
剪定時期=6~8月or11~12月
開花時期=6月
果実=10月
用途=生垣樹木or庭木
【その他】
イチイガシは全体についている毛が特徴。
全体に毛が付いたカシ類はこれです。
深緑が綺麗で用途によっては活用できそうです。
※複数ご落札・同梱ご希望のお客様へ※
当店では全商品を対象にまとめて購入手続きがご利用いただけます。 1本ずつのご落札となりますので、購入手続き画面に表示される
【この出品者のほかの商品とまとめて購入する】にチェックを入れてお手続きください。
まとめて購入手続きの方法がご不明の場合は、それぞれの商品を個別に購入手続きされてください。
当店でご注文確認後、送料の調整を行います。
その場合は、必ずご落札時の備考欄・または問い合わせフォーム/取引ナビにて同梱希望の旨ご連絡ください。
ご連絡後送料の調整を行いますので、同梱ご希望の際は当店からのご連絡が来るまで決済は行わずお待ちください。
ご不便をおかけし申し訳ございません。
ご落札前に今一度ご確認いただきますようお願い申し上げます。
商品画像はすべて見本になります。現品は到着しません。同等品をお届けします。
有道翻译
有道翻译
┈┈┈┈┈┈┈┈┈┈┈┈┈┈┈┈┈┈┈┈┈┈┈┈┈┈┈┈┈┈
下载有道词典
获取人工翻译
正在加载数据,请稍后……
点击查看,竞拍常见问题 >
竞拍怎么拍?
商品到手价?
关税怎么收?
正品保证?
保证金?怎么升级?
竞拍流程
竞拍自动延长
邮寄到日本
操作合单
到货周期
无法获取短信验证码
国际运费表
竞拍流程
禁运明细
卖家信息
温馨提示:
雅虎账号:
gre********
评价:
8077
30
店铺卖家:
是
发货地:
熊本県
查看卖家信誉图解
进入店铺
收藏店铺
51买JP提醒
常见问题
推荐分类:
车辆安全
佛坛,佛事用具
加热器
车辆单品
星际大战系列
运动
钱包
納豆キナーゼ
神桌,神具
携带用表盒
印鑑,印章
たんす
出价竞拍
本 品 现 价:
20000.00
日元(RMB
990.00
元)
本次加价至少为:
500
日元
出 价 金 额:
日元
出 价 件 数:
1
折合人民币:
0元
温馨提示:
本品商家好评为8077,差评为30,供参考使用,出价成功后不能弃标,弃标要扣除弃标费用。
预约出价
本 品 现 价:
20000.00
日元(RMB
990.00
元)
本次加价至少为:
500
日元
为避免被人恶意抬价,您出的价格会在结束前十五分钟由系统进行出价,也为您节省了宝贵的时间
出 价 金 额:
日元
出 价 件 数:
1
折合人民币:
0元
温馨提示:
本品商家好评为8077,差评为30,供参考使用,出价成功后不能弃标,弃标要扣除弃标费用。
直接购买
本次直接购买价为:
20000.00
日元(RMB
990.00
元)
直购价:
日元
出价件数:
1
温馨提示:
本品商家好评为8077,差评为30,供参考使用,出价成功后不能弃标,弃标要扣除弃标费用。
会员等级说明
查看详细>>
您需要升级保证金后方可出价竞拍
会员等级
V1普通会员
V2黄金会员
V3白金会员
V4铂金会员
V5钻石会员
保证金
0RMB
100RMB
500RMB
1000RMB
5000RMB
可投标件数
0件
3件
5件
8件
无限制
单次金额限制
0日元
≤30,000日元
≤100,000日元
≤1,000,000日元
无限制
出价账号
无法竞拍
普通账号
普通账号
优等账号
优等账号
关闭
前去升级保证金
51买JP学堂
竞拍流程
常见问题
费用明细
帮助中心
服务保障
服务申明
用户保障
物流配送
通关关税
禁运明细
国际运费
费用明细
关于我们
关于51买JP
企业文化
联系我们
隐私声明
商务合作